Depuis janvier 2016, le Conseil exécutif de Corse a entrepris, dans un esprit d’équité territoriale, un rééquilibrage des investissements routiers en faveur du territoire d’Aiacciu, via un réajustement et une optimisation de la planification routière.
En effet, à la fin de l’année 2015, soit 13 ans après le démarrage du PEI, aucun projet routier sur le Grand Aiacciu n’avait été présenté au Comité Régional de Programmation des Aides (COREPA).
Le montant total des travaux routiers et études opérationnelles sur le Grand Aiacciu s’élève aujourd’hui à 213 M€.
La dernière tranche du PEI (Programme Exceptionnel d’Investissements pour la Corse) a été consacrée au Grand Aiacciu pour un montant de 80 M€, soit 80 % du volume routier.
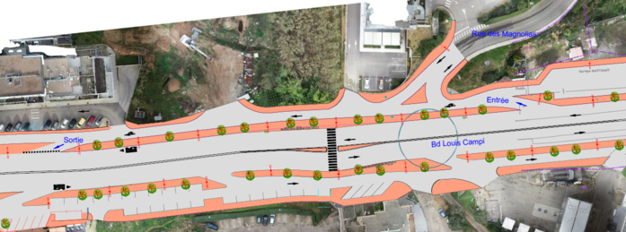
Délaissé depuis 1984, la Collectivité de Corse a entrepris le doublement des voies pour intégration des transports en commun et modes doux, reconquête de l’espace public et rationalisation des flux du Boulevard Louis Campi, ancienne Rocade d’Aiacciu (12 M€).
Débute aujourd’hui une ultime phase de travaux.
L’accès à la rue des Magnolias sera ainsi modifié. A partir du vendredi 1er octobre 2021, l’accès s’effectuera uniquement en tourne à droite en entrée, via la contre-allée prévue à cet effet.
La sortie pour rejoindre le Boulevard Louis Campi depuis la rue des Magnolias se situe au niveau de la Résidence Opéra.
Les travaux de réaménagement en boulevard de l’ancienne Rocade seront achevés d’ici la fin d’année.
En effet, à la fin de l’année 2015, soit 13 ans après le démarrage du PEI, aucun projet routier sur le Grand Aiacciu n’avait été présenté au Comité Régional de Programmation des Aides (COREPA).
Le montant total des travaux routiers et études opérationnelles sur le Grand Aiacciu s’élève aujourd’hui à 213 M€.
La dernière tranche du PEI (Programme Exceptionnel d’Investissements pour la Corse) a été consacrée au Grand Aiacciu pour un montant de 80 M€, soit 80 % du volume routier.
Délaissé depuis 1984, la Collectivité de Corse a entrepris le doublement des voies pour intégration des transports en commun et modes doux, reconquête de l’espace public et rationalisation des flux du Boulevard Louis Campi, ancienne Rocade d’Aiacciu (12 M€).
Débute aujourd’hui une ultime phase de travaux.
L’accès à la rue des Magnolias sera ainsi modifié. A partir du vendredi 1er octobre 2021, l’accès s’effectuera uniquement en tourne à droite en entrée, via la contre-allée prévue à cet effet.
La sortie pour rejoindre le Boulevard Louis Campi depuis la rue des Magnolias se situe au niveau de la Résidence Opéra.
Les travaux de réaménagement en boulevard de l’ancienne Rocade seront achevés d’ici la fin d’année.


















